今日から9月。学生だった頃は・・「8月ってなんでこんなに早く過ぎるんだ!」
と思っていましたが、最近は・・・「暑い・・早く8月を終わらせてくれ〜」状態です。
なので、昨日は「まだ8月だったんだ」てな感じでおりました。でも9月になっても残暑があるので気候は単純に月で変わるものではないんですけれどもね。
前回はイレギュラーな地上型レーザースキャナーの活用ですが、今日は正統?な地上型レーザースキャナーの使い方を。(笑)
これは今年初めのころの仕事でしたが、仕事のお題は、
「交差点内の舗装オーバーレイの計画高をしてほしい」 でした。
現状として1つの道路は縦断勾配が大きく、もう一つは交差点内が一番低い縦断となっています。そのため交差点内の排水をどのように計画するかが大切でした。
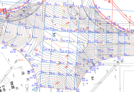
今回の作業手順は、
1)地上型レーザースキャナーで現況地形の点群を取得
2)点群の不要なデータ ”ごみとり” + 交差点舗装部分のみの点群に
3)点群 → サーフェス(TIN)に変換
4)1cmピッチの等高線、水の流れを解析
5)2路線の縦断図を作成
6)2路線の片勾配を計画 (滑らかに変化させないと通過する車の揺れが大きくなる)
7)中央から路肩の排水溝への排水を計画 (等高線と水の流れで解析)
8)計画の決定
9)舗装厚、As数量の算出
10)サーフェスをタブレットPCに登録し、トータルステーションと連動
(現場に平板ソフトとタブレットPCを貸出、舗装工事で使えるように設定)
(どこを当たっても計画高さが表示できるように)
11)完成
という手順で行いました。
地上型レーザースキャナーを入れる前は、ひたすらトータルステーションのノンプリズム+秘密兵器(特許になるやつ)で路面を測り、こんな資料を作成していました。
このように資料を並べてみると・・・「オイラってこんな仕事をやっていたんだ」と過去のことはきれいに忘れてしまっていますね。(笑)















